淡路島内のキス/ハゼ釣り釣行記事はこちらから
こちらのカテゴリで淡路島のキスやハゼ釣りの釣行記事をまとめています。
釣り関連記事 キス・ハゼ
2024/6/24
【淡路島ちょい投げ】雨が降るまで西浦のサーフでキス釣り!【良型も】
週末の土曜日日曜日はあいにくの雨。 予定では遠征して遠くの釣り場でキスを釣る予定でしたが天気と風を考慮して近場での釣りとなりました この時期なのでそろそろ天ぷらサイズのキスが釣れるはず。 仕掛けは昨年同様キスキャロ仕掛けで狙います。 今回はなるべくコンパクトにするために荷物は竿とクーラーのみ。 水汲みバケツも無しで カバンもなし。ランガンしていく予定なので。 写真:クーラーに小物入れを設置した! 釣り場に着くと背中からの風が吹き付けます。 幸い真正面からの風でないので釣りは続行です。 まずはいつもの波打ち ...
ReadMore
【キス釣り】7/4波打ち際でも数は釣れるよ!【淡路島西浦】
木曜日7/3に引き続き余った餌で昨日7/4の午前中にも西浦某所へキス釣りに行ってきました。 金曜日は午後からの講義なので午前中でバイトがなかったらこんな感じに釣りに行ってます。 (ベラも釣れたら持ち帰りましょう!塩焼きがまじで美味しいです。) 釣り始めは当たりが少なく数は稼げませんでしたが8時以降に移動した場所で連発! 釣り終了の9時前までには31匹確保することができていました。 結構暑くて風もなく湿度も高かったので若者でしょっちゅう釣りに行っている西浦氏でもキツかったです 外に出るのが慣れてなく熱順化が ...
ReadMore
釣り関連記事 キス・ハゼ
2025/11/2
秋の西浦へ落ちギス釣りへ行ってきました。【落ちハゼも!】
土曜日の朝、天気は快晴。でも北西の風はありました。 ただ、午後は雨が降るそうなので餌を買って強風承知で久々のキス釣りに行ってみることにします。 もちろん?自転車で。 あと、GoProも一応持っていきましょうかね… 今回は正真正銘初めての釣り場からスタートです。 仕掛けはこんな感じの軽い仕掛け。 釣り場に到着した時点でキス狙いっぽい釣り人は私以外に1人いました。 しかも、私が狙おうとしていたポイントでやってます😭 ただ、今日は朝の8時ごろからお昼過ぎまでじっくりいろんなポイントをしらみ潰しに ...
ReadMore
釣り関連記事 キス・ハゼ
2025/6/30
【初夏の淡路島】砂浜からキス釣りまくり🐟👍1本針でもいい感じ‼️
こんにちは!西浦氏です。 先週の淡路島西浦のキス釣りのレポートをしようと思います! 2025/06/26 砂浜からのちょい投げキスで30匹! 午前中3時間の釣果です。 徐々に週を越すごとにキスの活性が上がってきています! ただし、なぜかこのポイントは波打ち際にはおらず、浜から10mから20mぐらいの範囲で当たりが多く釣れた記憶があります。 サイズは15センチ以下のものが多かったですが20センチを超える良型もしっかりヒットしました! ふと、遠くの空に目をやると綺麗な夏らしい雲。 今年もこの季節がやってきまし ...
ReadMore
釣り関連記事 キス・ハゼ
2026/4/15
【2026】淡路島4月前半キス釣り20㎝台含む3匹キャッチで開幕も課題を感じた日
桜も散り、一層気温が上がって季節の進展を感じる今日この頃。まだまだ水温が低い4月前半の淡路島ですがそろそろ今年もキスが釣れるかなぁと思った西浦氏が昨日2026/04/14の午後、大学の授業が終わってから調査に行ってきました。 結果としてはなんとか20センチぐらいのキス2匹+ピンギスが1匹。何とか釣れはしましたが、ただ結構課題も感じる釣行となりました。 忘れないうちに4/14の淡路島西浦キス釣りで感じたことを振り返っていきます。 昨年のシーズン初期のキス釣り【淡路島】 https://awaji-fishi ...
ReadMore
釣り関連記事 キス・ハゼ
2023/6/27
6月の淡路島はサーフでのちょい投げでキスが好調!【キスキャロ】
そもそもキスキャロとは何ぞや?そう思われる方も少なくはないと思います。 ドドドドど素人の私が簡単にまとめると軽いオモリとヨリモドシ、キス針とを組み合わせた全長50センチぐらいの1本針の仕掛けです。 詳しく知りたい方はこちらのブログで学んできてください!(blue tetristの釣りノート様) さて少し前になりますが先週の日曜日の午後。糸付きのキス針を少しだけ結んでからのんびり釣りに出かけます。日曜日ということも相まって予定していた港は人人人普段なら平日に行けるということで家に引き返しますが、もうすでにイ ...
ReadMore
小アジ・豆アジ キス・ハゼ
2024/10/19
【淡路島】学校前のサビキ釣りとか友人とのハゼ釣りとか|10月某日
昨日の夜にも書きましたが本日、進学のための面接がありました! 色々と心配していましたがそこまで大きなミスもなく自己評価は10段階中7ぐらいでした。 結果がどうなるかですね…ぜひ受かってもらいたいところです…! さて、10月に入ってから更新が面接練習やその他の私用などがめちゃんこ多くて滞っていたのでまとめて書こうと思います。 まずは前回のハゼ釣りの翌日に行った友人(Youtubeチャンネル名 淡路王子)とのハゼ釣りです。 安定の釣果です! そして続いては学校前に早朝のサビキ釣り! 地元のサビキ釣りの師匠から ...
ReadMore
釣り関連記事 キス・ハゼ
2022/5/18
淡路島でまたまたキス釣り!
今回も行ってきました。 当たりは多かったのですが乗らないキスが昨日に比べ多かったです。 4匹釣れたのでよかったですが… 欲を言うともう少し大きいキスならよかったですね! ぜひみなさん淡路島でキス、どうでしょうか! ではまた、! にほんブログ村
ReadMore
釣り関連記事 キス・ハゼ
2025/8/29
【淡路島ハゼ釣り】淡路島西浦にハゼ釣りへ【20センチ越えも!】
数日前、久しぶりにハゼ釣りへ行ってきました。 キス釣りへ行ったのですが結局釣れず気分転換も兼ねました。 最後に行ったのは去年の秋です。 https://awaji-fishing-life.net/archives/26997649.html いつかのブログでも書いた気がしますが淡路島でハゼ釣りをする人は本当にいません。 まぁ、ハゼ釣りなんぞしなくても他の魚種が淡路島ではたくさん釣れるのでそっちに流れるんでしょうね あと、そんな大きな川もないっていうのも理由になると思います。 ハゼ釣りだったら島に来なくて ...
ReadMore
釣り関連記事 キス・ハゼ
2024/4/23
淡路島2024年キス釣り開幕宣言!
みなさんこんにちは〜 先週から6時間授業になって釣りに行く時間が減少した投稿主です。 今回は昨年のこの時期同様にキス釣りに行ってきました。 よろしくお願いします。 釣り場について一投目からあたりが! 軽く糸を緩めるとのりました! 一投目から20センチジャストのキスです。 そんなこんなで連発して…
ReadMore
西浦でキス
結構前の話です。 8月半ばの話で網が入れられてつれなくなる前に行ってきました。 釣り人はいなく 釣れやすい場所でした。 軽い錘と一本の針のシンプルな仕掛けでねらいます。 餌はアオイソメです。 今日一のサイズです。 潮止まりでつれなさそうな時間に竿をひったくっていきました。 全体の結果です。 今は学校ですが これから終わった後 5時ぐらいから浮釣りのよていです。 にほんブログ村
ReadMore
そろそろキス釣りの準備をしましょう|3月20日
あっという間にもう今日は3月の20日です。 今週末の土曜日から4月にかけては一気に気温が上がって最高気温は20度を大きく超える予報が出ています。ということでそろそろキス釣りの準備をしようと思います。 淡路島でキスが釣れる時期については主にGW頃からまともに釣れ始め12月の初めぐらいまでが一般的となっていますが,エサピチの釣果ブログでは今年の3月の前半からキスを釣っている化け物もいるようです。ただ,この人は色々とレベルが違う気がするのでここでは外れ値として扱います。 私は昨年キスを始めて釣ったのは4月の23 ...
ReadMore
ちょい投げキス釣り準備その2|4月5日
もうすぐ水温もいい感じになってくるということで、キス釣りで使う釣具を少しだけ買い足しました。 本当はPEラインも巻き替えたかったのですがお金がないのでそちらは据え置きという形で… 買ったのは、バレットシンカーとケン付き流線の針。 個人的に開幕初期のキスは20センチ前後の個体が多いので針は大きめで狙っていきます。 小さい針でも釣れないことはないのですがすっぽ抜けがどうしても怖いので最低でも9号は欲しいところです。 明石の方の水温を見てみるとまだ11度前後といった感じなのでまだ少し早いです。 多分来週末には結 ...
ReadMore
キスの浮き釣りってなんだ?道具を準備しよう
先日釣りに出かける途中で主に中学時代に(今もですが)お世話になった師匠に会いました。 ここ何ヶ月か全く話すことがなかったので互いの近況や自分の釣果について共有し合いました。 そこでとある釣り場についての話をしていると師匠が興味深いことを話しました。 それはキスは延べ竿の浮き釣りで釣れるというものでした。 ということで今回はちょっといつもと趣向を変えて浮き釣りで狙ってみる事にしました。 今回は準備編です。 とりあえず教えてもらった仕掛けを組んでいきます。 まずは延べ竿。 これはこの師匠から頂いたものです。長 ...
ReadMore
西浦アジングと授業でキス釣り|9月17日
昨日の夜も西浦は某所へ自転車でアジングへ行ってきました。 いつも通り常夜灯を狙っていきます。 ワームはアジ職人ソフトサンスンを短くしたもの。 当たりは少ないですが各所でアジを拾っていきます。 今回は底縛りで狙っていきました。 全層で当たりがあるので結局はどこでやっても釣れるのですが… 時たまシーバスに追われているのでしょうか?水面がざわめきます。 最終的な釣果はこちら。 そして日付が変わり翌日。 本日は学校の授業で釣りです 釣行は先生と私含め4人です! 学校へ行くはずのカバンの中は釣具で満載 えさはイソメ ...
ReadMore

初めに
こんにちは、当サイトを運営している淡路島在住の西浦氏(にしうらし)と申します。
今回はですね、私自身のこれまでの記憶のまとめと言いますか整理と言いますか、ともかく記録として淡路島におけるキス釣りのシーズンごとの攻略法について書き留めてみました。
いつから釣れるの?いつまで釣れるの?真夏はどこを狙う?などの疑問に対しても色々と書いておりますので見ていってくれると嬉しいです。
良かったら↑の方にある釣行記もどうぞ。
あとですね当方、本格投げ釣りに関しては無知の領域で基本的にちょい投げを主体で釣行しております。
ですのでどうしてもこの記事ではちょい投げメインの攻略法になってしまいます。そこんとこよろしくです。
では早速淡路島のシーズンごとのちょい投げキス釣り攻略法を簡単に紹介していきます。
【2月-3月】淡路島のキス釣り【地獄】
淡路島西側の冬の海。
いやそこは1月からスタートじゃないんかい!という気もしますが一旦そこは無視していただけると幸いです。あとでしっかり登場します。
この2月から3月のちょい投げキス釣りに関しては間違いなく淡路島では厳しい。と言いますか全く釣れない釣りになります。
釣れない原因としては一にも二にも水温。
私の経験則ですが最低でも13度から14度ぐらいないと釣れないのでは?と思っています。
水温に関しては兵庫県の水産技術センターが各地の水温をありがたいことに公開してくださっているのでそちらを参考にすると良いでしょう。
この時期の淡路島近海の水温は摂氏10度前後の日が多いです。当然それを下回る水温の日も多いのでまずこの時期はキスに限らず厳しいです。
このシーズンは大人しく穴釣りで根魚を釣るなど釣れる釣りを楽しみましょう。
【4月】淡路島のキス釣り【微妙】
4月5月とくっつけて紹介しても良かったのですが、釣れ具合が結構変わってくるので分けての紹介です。
まず、結論から言うと4月になればよっぽど水温が上がらない場合を除き徐々にですがキスは釣れるようになります。良かった良かった。
しかし、確実に釣れるのかと言われるとそれはやっぱり厳しくて、まだキスの数が少ないということで爆釣はまずないと思います。
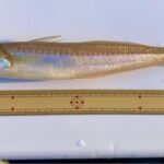
貴重な淡路島の西側の漁港にて4月に釣れたキス
淡路島の貴重な4月のキス釣り釣行記はこちらから!
私の場合3時間程度の短時間釣行が多いですが、一回の釣行で本当にたくさん釣れても5匹か6匹。2匹釣れれば上等!みたいなイメージがこのシーズンにはあります。人間的には気温が上がり行動しやすくなるのが4月から5月ですが、海の中はまだまだ真冬。12月の水温と4月の水温はほとんど同じであると言われています。
また、一口に4月と言っても前半と後半で釣れ具合はかなり異なり、前半より後半の方が確実に釣果が得られる確率は高くなります。
一応意味もなく表を作ってみましたがこんな感じです。
| 4月 | キス釣りの状況【淡路島】 |
|---|
| 前半 | かなり厳しい。頑張れば奇跡があるかも。 |
| 中旬 | 期待するが釣れないことの方が多い。 |
| 後半 | 少しずつ可能性が出てくる。 |
要するに4月は釣れないこともないが大体釣れないと言うこと。
まだまだ厳しいです。
私自身、淡路島でのちょい投げキス釣りにおいて4月前半に釣ったことはほどんどありません。(0ではありませんが↓)
ただこの時期の特徴として数こそ釣れないが比較的サイズはマシなのが出ると言う特徴があります。
この季節は餌取りも少ないので大物狙いと割り切って狙ってみるのも案外楽しいかもしれないですね。
【5月】淡路島のキス釣り【前半微妙で後半開幕】
5月になって気温は上がってもまだまだ釣果は怪しい感じです。
キスは釣れないの?と言われたら先ほど同様釣れないことはないのですがいかんせん数が限られます。
淡路島西側の波止
実際4月後半と5月前半の釣れ具合はほどんど変わらず微妙な感じです。
ただ、後半に入ると話は別で、これまで単体で当たってくることが多かったのが群れで当たってくるようになります。水温が上がって活性が全体的に高くなるからですかね?
5月の淡路島のキス釣行記事
また水深が比較的浅い釣り場で釣れ始めるのもこの頃で、だんだんボウズを回避できるようになってくる印象があります。
5月後半から淡路島のキス釣りはいよいよ開幕と言って大丈夫でしょう!
【6月-7月】淡路島のキス釣り【最高】
だんだんと小型のピンギスも増えてくるのが6月から7月にかけてのシーズン。
6月に入ると本格的に開幕するのがサーフでのちょい投げ釣りです。
水温が徐々に上がってきた6月ごろから砂浜でのちょい投げキス釣りも本格的に開幕します。
数釣りもできます!
7月の淡路島でのキス釣り釣行記
どうしても砂浜での場合は飛距離がいる。というイメージを持ってしまいがちですが案外波打ち際でも釣れるものです。
具体的には足元から数えて2つぐらいのかけ上がり。延べ竿を使って探ってみるのもまた一興です。
砂浜から10m以内で釣れることは珍しくなく、数釣りが楽しめるのもこの季節です。
延べ竿でのキス釣りも最高!【淡路島】
サイズに関しては20センチまでのサイズが中心になってきます。
大型も引き続き釣れますが小型の釣りを楽しむ人が多いシーズンです。
ちょい投げで50匹越えも夢じゃない!【淡路島】
7月はちょい投げ全盛シーズンです!
淡路島での砂浜からの釣りについての注意事項【一部罰金あり】
ただ、ここで注意したいのが海水浴場での釣り。
例えば南あわじ市にある慶野松原の場合は7月上旬ごろから8月下旬ごろまで海水浴場を開くのでその期間の釣りは禁止となります。
このように海水浴場でキスを狙う場合はそのポイントが海開きをしているかや、禁止事項を確認した上で釣りを楽しむ必要があります。
また淡路島の一部海岸では兵庫県の保護水面に指定されているため釣りができない砂浜もあります。
具体的には南あわじ市の津井と黒岩周辺。合わせて洲本市の五色付近です。
詳しくは兵庫県が公開している遊漁のマナーのサイトで紹介されているので事前に確認が必要です。
↑こちらをクリックで保護水面を確認できます(外部サイトへ飛びます)
(※ここに書いた注意事項は記事の最後にもう一度書いておきます)
【8月】淡路島のキス釣り【釣れるけど釣れない】
世間ではお盆休みに突入する8月。みなさんレジャーや観光などで淡路島を訪れることもあると思います。
淡路島に釣り人が一年で最も集まるシーズンだと私、西浦氏は勝手に思っています。
8月になっても釣れないことはないけど、ちょっと調子が下がります。
ただ、増える釣り人とは裏腹に実のところ魚たちにとって8月の海はあまり快適ではないのかもしれません。
と、言うのもあまりにも海水温が上がりすぎてしまうから。
実際のところキスの場合も案外釣れないと言うことが頻発するイメージがあります。
水温が上がってしまったことによってキスは深場に一旦逃げてしまうんですよね。
これを土用隠れ。と言います。
暑くなってしまうとキスは一旦、水深の深いエリアに移動してしまい日中のちょい投げ釣りでは釣り人が一生チャリコとフグに餌をあげるマシーンと化してしまいます。そこでこのようなことにならないようにこの季節は早朝を重点的に狙ってみることをお勧めします。
あとそれに加えて水深が浅いエリアを避けて深いエリアを狙うこと。砂浜からの釣りで釣果を伸ばすのはちょっと厳しいです。
特に日中は暑いので私たち釣る側の熱中症リスクもあり危険です。
比較的気温が低い早朝時間帯を中心に攻めることで安全に短時間勝負で釣果を出せるかもしれません。
また8月に入ると餌取りの数がかなり増え、サーフ、波止問わず餌取りの相手をひたすらにすることになります。
この時期の淡路島では一旦キスは辞めて太刀魚などに注力することをお勧めします。
まぁ、釣れないことはないんだけどね…
淡路島8月の釣行記。この時は暑かったけれど結構釣れました。
【9月-10月】淡路島のキス釣り【最高】
9月に入ってしばらくすると8月の全盛期の高水温から徐々に水温が戻り始め、7月ぐらいの釣れ具合にサーフ、堤防ともに復活してきます。
ただ全体的に7月に釣れていたキスより9月以降に釣れるキスの方が少しだけサイズが上がったものが釣れる印象があります。
9月の中頃ぐらいまでは波打ち際のポイントでも釣れないことはないですが、徐々に水温が落ち着くにつれてポイントは遠く、遠くなってきます。10月に入ってしまうとポイントは手前から奥へ完全に移行する印象があります。
9月の淡路島でのキス釣行記
ただ、安定してちょい投げでも釣果を出すことはできる季節なので安心して大丈夫です。
良型もそこそこ釣れますし、日中の気温も徐々に下がってきますから意外とお勧めの季節になってきます。
【11月】淡路島のキス釣り【落ちギス開幕】
稲刈りのシーズンも完全に終わり10月も過ぎるといよいよ落ちギスシーズン開幕です!
砂浜からの釣りはかなり厳しいですが漁港の港内や堤防の基礎石の近くなどで良型がまとまって釣れるシーズンです。
淡路島の11月の釣果。
サイズ的にも結構大きくなってきて25センチ以上の良型も釣れやすくなるとかなんとか。
餌取りの数も全盛期より落ち着くので大きな餌をつけてアピール力重視で狙ってみると大きいのが釣れたりします。
また、ちょい投げで底の荒い部分の近くを狙っていたりするとハゼが釣れることも多いです。
この季節のハゼは落ちハゼとして人気があるので釣れたらぜひ持って帰りましょう!天ぷらが最高です。
淡路島の小規模河川で釣ったハゼ。
あと地元の方がたまにですがサビキ釣りをしている人が釣り終わった後にこっそりやってきて、底に溜まった餌を食べているキスの群れを狙い撃ちして釣る。という釣り方をするとかなんとか…。これは実際試したことがないのですが案外釣れるのかもです笑
淡路島の落ちギス釣行記はこちら
【12月-1月】淡路島のキス釣り【完全閉幕】
12月に入り、1月後半まで淡路島では多くの回遊魚系の魚が最後のフィーバーを迎えますが、一足早くキスは深場へと降りていきます。
私の住む西浦の港では12月の初めまではなんとか残っているキスですが半ばを過ぎるとほとんど当たりがなくなります。
東側などの深い釣り場では1月の頭ぐらいまではなんとか釣れている年も無くはないのですが1月の頭を過ぎると淡路島のキス釣りは閉幕となります。(私が思うには)
本格投げ釣りの人ならまだ狙えるシーズンかもしれませんがちょい投げはこれにて終了です。
今期もお疲れ様でした。
淡路島のキス釣りまとめ
以上、ざっくりと淡路島のちょい投げキス釣りの攻略法を1年を通して紹介してみましたがどうでしょうか。
皆様の参考になれば幸いです。
あと、最後に途中で紹介した注意事項をここに載せておきますね。
注意点
海水浴場での釣りは時期によっては禁止されているので確認が必要。
保護水面や立ち入り禁止場所での釣りは絶対にしないこと。
以上の注意点とモラルを遵守し、淡路島でのキス釣りを全力で楽しみましょう!
西浦氏でした!
淡路島内のキス/ハゼ釣り釣行記事はこちらから
こちらのカテゴリで淡路島のキスやハゼ釣りの釣行記事をまとめています。
釣り関連記事 キス・ハゼ
2025/5/12
淡路島西浦で5月のキス釣り!釣果レポートと苦戦した点【淡路島キス釣り2025】|5月11日
みなさんこんにちは。西浦氏です! 昨日2025/05/11の午前中にキス釣りに行ってきました!今年に入ってキス釣りは全くと言っていいほど手をつけていなかったので真面目に今回は狙っていこうかなと思っています。 釣行データ 場所:淡路島西浦某所 時間:午前8:30-午後12:20 釣り方:ちょい投げ釣り(キスキャロ仕掛け) エサ:アオイソメ200円分 ロッド:アジングロッド(ソアレBBアジング) 結果:シロギス3匹、クジメ新子1匹 結果から書くと、上記の通り。流石に連発!とは程遠い釣果のものの5月前半に入った ...
ReadMore
釣り関連記事 キス・ハゼ
2024/8/29
【淡路島キス釣り】台風前&8月最後のちょい投げキス釣り
昨日の午前中夏休みの釣り納めとしてキス釣りに行ってきました! いつもの浜を周ります。 そしていつも通りのところで連発 当たりも結構あって楽しかったです! 途中経過 小さなシーバスも釣れました! 最終的にはこんな感じです! 久々のキス釣りは楽しかったです!🐟 にほんブログ村
ReadMore
ちょい投げキス釣り準備その2|4月5日
もうすぐ水温もいい感じになってくるということで、キス釣りで使う釣具を少しだけ買い足しました。 本当はPEラインも巻き替えたかったのですがお金がないのでそちらは据え置きという形で… 買ったのは、バレットシンカーとケン付き流線の針。 個人的に開幕初期のキスは20センチ前後の個体が多いので針は大きめで狙っていきます。 小さい針でも釣れないことはないのですがすっぽ抜けがどうしても怖いので最低でも9号は欲しいところです。 明石の方の水温を見てみるとまだ11度前後といった感じなのでまだ少し早いです。 多分来週末には結 ...
ReadMore
釣り関連記事 キス・ハゼ
2023/5/13
淡路島西浦キス釣り!20センチ級4匹も!7匹キャッチ!
朝にトツカアジ調査の記事を書いたので キス は短くまとめます。 時間軸が左右しますがトツカアジ調査に向かう前日の金曜日の放課後の行ってきました! 釣果から言ってしまうと 20センチ級を多数含む7匹。最近の地元の釣果から考えれば十分多い! しかもそのどれもが狙い通りに釣れたので釣った感じが大きかったです。 堤防から平行に潮の動いている向きと逆に引くと足元から5m付近で当たりが連発。 一番大きなキスはドラグを思いっきり鳴らして引っ張って行きました。 このキスは背中に齧られた跡がありました。 何に食べられかけた ...
ReadMore
釣り関連記事 キス・ハゼ
2023/4/27
【西浦】足元ギリギリ!?超接近戦ちょい投げキス釣り
今日も学校が終わったら昨日の残りの餌を持って釣りに行きます。 風は昨日まぜの風が少し残っていましたが今日はなくなっていました。 水はまだ少し濁りが残っていました。 仕掛けはいつもと同じキスキャロ7号1本針です。 今回はハリスをいつもの倍の長さにしてみました。あとシンカーの重さも7gから5gに今回は変えてやってみます。 ポイントは昨日3匹釣れた場所からスタートです 画像が少ないので過去記事の画像を一部流用しております ほんの20m先を下投げで狙います。 流石に1投目からは当たりがありません。 次は少し左斜め ...
ReadMore
釣り関連記事 キス・ハゼ
2022/5/16
淡路島西浦キス開幕!?
こんにちは、今日は朝から1時間だけキス調査に行ってきました。 今日は私の師匠と釣行です。 場所は 西浦のとある港です。 アオイソメ300円分を買い、 針につけて投げてゆっくり巻きます! A師匠:アリと同じぐらいの遅さで仕掛けはひくんやで 私:師匠のアリ早すぎやろw 私:ww 師匠:ww てな、感じで釣りをしていると なにやら師匠の竿に反応が!! だが、しかし、ハズレ 師匠:あれはキスやろ!惜しかった! すかさずそこに投げる私! しかし反応がない 引き上げようとしたその時!! ぶるっ! ブルっ! すかさずラ ...
ReadMore
【連日連勝】堤防からちょい投げキス40匹越え!【淡路島】
昨日もキス釣りに行ってきました!木曜日から数えると4日連続です。 流石に釣りに行き過ぎだと思う西浦氏です。 昨日は趣向を少しかえて堤防からのキス釣りへ行ってきました。 人はいっぱいでした。やっぱり砂浜と違うからねー。そこは我慢。 お昼の15時から19時まで行ってきましたが意外や意外。40匹も釣ってしまいました…釣りすぎや ↓途中経過 堤防で久しぶりに釣った感想としてはやっぱり砂浜で釣るよりサイズが全体的にいいなぁということ。 あとフグが多い…そろそろチャリコも釣れ始めているので餌取りに悩まされる季節到来で ...
ReadMore
キスの浮き釣りってなんだ?道具を準備しよう
先日釣りに出かける途中で主に中学時代に(今もですが)お世話になった師匠に会いました。 ここ何ヶ月か全く話すことがなかったので互いの近況や自分の釣果について共有し合いました。 そこでとある釣り場についての話をしていると師匠が興味深いことを話しました。 それはキスは延べ竿の浮き釣りで釣れるというものでした。 ということで今回はちょっといつもと趣向を変えて浮き釣りで狙ってみる事にしました。 今回は準備編です。 とりあえず教えてもらった仕掛けを組んでいきます。 まずは延べ竿。 これはこの師匠から頂いたものです。長 ...
ReadMore
釣り関連記事 キス・ハゼ
2025/7/11
【23㌢連発】良型キスが堤防ちょい投げで連発【淡路島】
今日も今日とてキス釣りです🎣 実は今週少し弟から風邪をもらいまして、体調不良が続いてました。いやー災難です… 今日はなんとか行けそうなので朝の2時間、砂浜は大変なので堤防から狙ってみることにします。 仕掛けはいつものキャロ1本仕掛け。ここ数年は楽しい仕掛けなのでこればっかです。 底が足元から砂地のポイントで人もいなかったので堤防の際を狙うと安定のピンギス。 とは言っても15センチあるかないかだったのでそこそこ大きいです。 みなさん忘れていることが多いと思いますが、キスはどこにでも案外居るも ...
ReadMore
釣り関連記事 キス・ハゼ
2023/4/26
キス3匹GET!淡路島西浦某所1時間ちょっと勝負!
みなさんこんにちは! 今日は昨日からの雨で朝からビチャビチャになりながら自転車で登校しましたが、下校する頃にはすっかり雨も上がっていたので今日行けるかなーと思いながら釣り場に向かいました。 途中釣具屋さんで200円分の青イソメを買って釣り場に向かいます。 釣り場に着くと予想はしていましたがやはり昨日からの雨で濁っています。 キスは底荒れを嫌うということが釣りの本にもよく書いていますが今日はどうでしょうか? 今回もいつもと同じキスキャロ仕掛けです。 詳しくは「ブルーテトリスト」で調べてみていただけるといいと ...
ReadMore
淡路島西浦ちょい投げキス釣り2023開幕!!【4月前半】
先に言っておきますが今回の釣行は元々ブログを書く予定ではなかったので写真が不足しています。あらかじめご了承ください! 2023/04/〇日の午後。丁度昼頃から午後5時頃にかけての淡路島某所のタイドグラフを見てみると下げの潮で動いていたので久しぶりにキス釣り調査に行ってきました。 途中釣具屋さんで青虫を買い、釣り場に向かいます。釣具屋さんにも聞きましたがやはりキスの釣果は上がっていないとのことまだ最初期なので仕方ないですね。 そして1時半すぎに目的の釣り場に着きました。今回初めて以前購入したダイワ小継せとう ...
ReadMore
【淡路島6月】キス調査!21センチが出た!
今週の水曜日にキス調査に行っていきました。 去年一日で50匹以上のキスを釣った某ポイントです。 ブログには書きませんでしたが夏休みの間楽しむことができました。 今回は少し早いと思いますが淡路島での釣り動画をよく投稿している方がサーフでのキス釣り動画を投稿していましたので私も行っていきました。 餌は普通に青イソメ200円分です。 時間があれば石ゴカイをほってそれで釣りをしたかったのですがあいにく時間がなかったので今回は購入したものを使います。 竿はこないだ延べ竿からリール竿に改造した柔らかめの竿を使います。 ...
ReadMore
【2025淡路島】やっとキスが釣れてくれました|4月30日
水曜日のお昼にキスを釣りに行ってきました! まずは、釣り場に向かう前に地元のお師匠さんと情報交換! やはり、まだ今年はキスは釣れていないそうですね。水温が低いせいなのか良く分かりませんがとにかく今年は調子があまり良くないです。 餌は調達していたので釣具屋さんには寄らずに直で釣り場に向かいます。 到着して海を見ると真っ透明!? あんまり透明すぎると良くないですが本当に透明でした。(語彙力無) 海の底までスッキリと透き通っており小さなメバルが底で泳いでいるのも堤防の上からはっきりと見えます。 ただ、せっかくな ...
ReadMore
釣り関連記事 キス・ハゼ
2023/4/13
西浦でキス釣り#3 10バイト3キャッチ!
学校が午前で終わったので本日もキス釣りです。 早速釣り場へ向かいます。 餌は前日に買った200円分のイソメの残りです。 釣り場に向かう途中地元の老人軍団に捕まりました。 いろんな情報を教えてくれるのはとてもありがたいですが釣りの時間が減るので ありがとうと感謝を伝えて釣りに向かいます。 しかし! 釣り場に着くとナマコの網が仕掛けられていたので前回釣れていた場所が入れなくなっていました。 仕方がないので網の入っていない場所へ移動しました。 開始早々2投目でキスのあたりです。 少し待って聞いてみるとゴンゴンと ...
ReadMore
人気記事 キス・ハゼ
2026/3/22
【保存版】淡路島のキス釣りガイド!4月のシーズン開幕から閉幕までの攻略法を淡路島民が考える【ちょい投げ主体で紹介】
淡路島内のキス/ハゼ釣り釣行記事はこちらから こちらのカテゴリで淡路島のキスやハゼ釣りの釣行記事をまとめています。 淡路島でキス釣りを楽しもう! 初めに こんにちは、当サイトを運営している淡路島在住の西浦氏(にしうらし)と申します。今回はですね、私自身のこれまでの記憶のまとめと言いますか整理と言いますか、ともかく記録として淡路島におけるキス釣りのシーズンごとの攻略法について書き留めてみました。いつから釣れるの?いつまで釣れるの?真夏はどこを狙う?などの疑問に対しても色々と書いておりますので見ていってくれる ...
ReadMore
キス釣りにはこちらのクーラーボックスがおすすめです!